
Le autorità di diverse regioni costiere hanno ordinato evacuazioni di massa, mentre i meteorologi avvertono: “Melissa è una tempesta senza paragoni, la traiettoria potrebbe cambiare in poche ore.”
VENTI A 250 KM/H E RISCHIO ALLUVIONI CATASTROFICHE
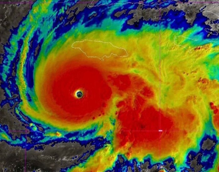
La potenza dell'uragano Melissa è aumentata rapidamente, raddoppiando la sua intensità nel fine settimana e raggiungendo il raro livello di categoria 5 con venti medi a 286 km/h (le raffiche invece hanno superato i 300 km/h!). Lo ha reso noto il National Hurricane Center spiegando che si prevede che l'uragano toccherà terra in Giamaica questa mattina, diventando l'uragano più forte mai registrato sull'isola. "Gli ospedali sono entrati nello stato di attività in ''modalità di emergenza'', sono stati chiusi tutti gli aeroporti e sono stati attivati rifugi in tutto il Paese per le persone che vivono in zone vulnerabili", ha affermato il ministro degli enti locali Desmond McKenzie in conferenza stampa. 50 mila persone sono rimaste intanto senza luce, 3 i morti accertati.
Secondo gli esperti, Melissa dovrebbe provocare piogge torrenziali fino a 760 millimetri sulla Giamaica e Hispaniola meridionale, ovvero Haiti e la Repubblica Dominicana. Alcune aree potrebbero vedere fino a 1.000 millimetri di pioggia (si tratta di tutta la pioggia di un anno concentrata in pochissime ore).
Un quantitativo di pioggia del genere potrebbe causare alluvioni catastrofiche in vaste aree, frane sulle zone montuose e mareggiate distruttive.
LA TRAIETTORIA AGGIORNATA
La traiettoria prevista indica un passaggio diretto sulla Giamaica, dove l'impatto potrebbe essere distruttivo. Successivamente il mostro atmosferico punterà Cuba per poi dirigersi verso l'Oceano Atlantico. Melissa è il ciclone più forte sulla Terra del 2025 fino ad oggi e il terzo uragano di categoria 5 di quest'anno. È solo la seconda volta nella storia che l'Atlantico registra più di due uragani di categoria 5 nello stesso anno.
Un mare così caldo fornisce una quantità enorme di energia al sistema, favorendo un’accelerazione della sua intensificazione, un fenomeno che possiamo collegare inequivocabilmente al cambiamento climatico.